Linn Esch/Uelzecht - Daitsch/Oth - Villerupt / Frankraich
Ligne Esch/Alzette - Audun-le-Tiche - Villerupt / France
Linie Esch/Alzette - Deutsch/Oth - Villerupt / Frankreich

Esch/Alzette - Audun-le-Tiche / France - Rédange / Fontoy

Ligne / Strecke   Longueur des lignes / Länge der Strecken (km) Date d'ouverture / Betriebseröffnung Date de fermeture / Betriebsstillegung Electrification en service / Elektrifizierung in Betrieb
Voie unique / Eingleisig Voie double / Zweigleisig
Esch/Alzette - frontière française / französische Grenze (Audun-le-Tiche) GL  1,51   01.04.1880   15.05.1972


Gare / Bahnhof Esch/Alzette (Photo: jmo)

Ligne Esch/Alzette - Bettembourg

Ligne Esch/Alzette - Pétange - Rodange

Ligne Esch/Alzette - Hoehl


Gare / Bahnhof Esch/Alzette: à gauche la voie vers Audun-le-Tiche/France et Hoehl, à droite les voies vers Pétange (Photo: 2 .7.2000 jmo)


A gauche la ligne vers Hoehl , à droite la Ligne Esch/Alzette - Audun-le-Tiche, (Photo: 31.8.2000 jmo)


Travaux sur la ligne Esch - Audun en été 2002 (Photo: Paul Hessé)


PN 93 Esch-Hoehl mit Eisenbahnstrecke nach Audun-le-Tiche (Photo: 31.8.2000 jmo)


PN 93 Esch-Hoehl (Collection: Marcel Schlim)
Gelb: Strasse nach Esch-Hoehl
Türkoise-grün: Tunnel mit Gleis nach AES
Rot: Gasleitung
Blau: Gleise Esch - Audun / Terre-Rouge und Esch - Hoehltal
Dunkelblau: Fussgängerüberführung


PN 93 Esch/Alzette-Hoehl (Carte postale: Pierre Thorn, photographe, Esch/Alzette; Collection: jmo)


Den Owend ass den Z 2215 tëschent Esch an Oth ënnerwee gewierscht. Normalerweis fueren Z2 op där kuerzer Streck. Déi Fotoen goufen em 16.55 gemaacht bei der Barrière fir an d‘Hiehl, wou den Zuch vun Oth zréck op Esch gefuer ass. (Photos: 16.11.2018 Carlo Heinen)

 


Ligne Esch/Alzette - Audun-le-Tiche à Esch-Barbourg, à la droite l'ancienne usine Terre Rouge (Photo: 31.8.2000 jmo)


DB-Gleismesszug zwischen Audun-le-Tiche und Esch/Alzette (Photo: 9.4.2013 Yves Gillander)


Ligne Esch/Alzette - Audun-le-Tiche à Esch-Barbourg, début de ETCS 1 et à l'arrière-fond l'ancien poste de l'usine Terre Rouge (Photo: 3.6.2012 jmo)


Ligne Esch/Alzette - Audun-le-Tiche à Esch-Barbourg, à l'arrière-fond l'ancien poste de l'usine Terre Rouge (Photo: 3.6.2012 jmo)


Ligne Esch/Alzette - Audun-le-Tiche à Esch-Barbourg, fin du réseau ferré luxembourgeois (Photo: 3.6.2012 jmo)


Frontière Luxembourg - France, au fond le viaduc de la ligne d'Audun-le-Tiche à Fontoy. (Photo: 31.8.2000 jmo)


Automotrices CFL 253 et 261 quittent la gare d'Audun-le-Tiche (FR) en direction Esch/Alzette, au fond le viaduc de la ligne d'Audun-le-Tiche à Fontoy (Photo: 15.11.1999 jmo)


Automotrices CFL 253 et 261 en gare d'Audun-le-Tiche (FR). (Photo: 15.11.1999 jmo)


Le 21 septembre 1992, la locomotive 3602 a assuré la première course électrique sur la ligne remise en état (Photo: Charles-Léon Mayer)

Gare d'Audun-le-Tiche


Rüssingen - Russange: A l'avant-plan les voies sortant de la gare d'Audun-le-Tiche (Collection: jmo)


Russange: A l'avant-plan les voies sortant de la gare d'Audun-le-Tiche - au milieu à la droite le pont ferroviaire de la ligne entre l'Usine d'Audun-le-Tiche et les Usines Terres Rouges / Belval à Esch/Alzette (Carte postale: Collection: jmo)


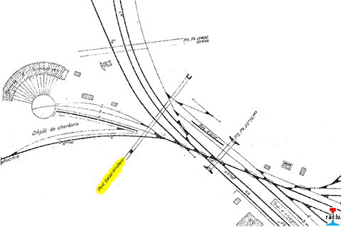
Audun-le-Tiche - voies direction: Cabuccières - Dépôts de locomotives - Villerupt - Rédange - Fontoy (Plan 1.10.1924)


Audun-le-Tiche vers 1902: à l'avant-plan la ligne vers Villerupt (vers la droite en bas) (Collection: Marcel Schlim)


Russange à l'avant-plan la ligne vers Villerupt (vers la gauche en bas) (Collection: Marcel Schlim)




Audun-le-Tiche - Passage à niveau No 11: à gauche l'ancienne ligne vers Rédange, à droite la ligne Fontoy (Photo: René Birgen)


[Usine de Micheville / Villerupt]



Ligne Audun-le-Tiche - Villerupt


Ligne ferroviaire Audun-le-Tiche - Villerupt - vers 1957 (Carte postale: Editions aériennes CIM; Collection: jmo)



Villerupt - Cités ouvrières de la Société d'Aubrives-Villerupt (Carte postale: J. Credazzi, éditeur - Cliché G. Dammé; Collection: jmo)


Villerupt - En arrière-plan, les Cités ouvrières de Micheville (Carte postale: J. Credazzi, éditeur; Collection: jmo)

[Usine d'Aubrives / Villerupt]


Villerupt - vers 1958 (Extrait d'une carte postale: CIM; Collection: jmo)

 


Depuis l'arrêt du trafic voyageurs SNCF en 1948 sur la ligne Audun-le-Tiche - Fontoy, Audun-le-Tiche n'est actuellemement accessible en train que par la ligne Esch/Alzette - Audun-le-Tiche, desservie par les CFL depuis le 27 septembre 1992.


Esch-sur-Alzette - Audun-le-Tiche: Perhaps the first example of open access by one European railway on to the metals of another began on 27 September 1992 when Luxembourg's CFL restored passenger service on a 3 km line of which 1.3km are in France, 50 years after such trains last ran and nearly six years after reopening negotiations began. At CFL expense SNCF renewed track and a bridge, and built CFL a new platform and parking for 400 cars at Audun, the better to serve French-dwelling commuters who work in Luxembourg. Five CFL 25kV emus leave Audun in the morning peak and four in the evening, one in each direction working through to Luxembourg city, the others making cross-platform connections at Esch-sur-Alzette. But the SNCF drew the line at letting CFL set up a ticket-office at a French station, so fares and season-tickets have to be paid on the train, or bought from various shops in Audun. Presumably CFL and Benelux rover tickets will be valid. (Trans-Fer, #83, 1992)


Question parlementaire concernant la ligne Esch/Alzette - Audun-le-Tiche

Réponse de Monsieur Henri Grethen, Ministre des Transports, à la question parlementaire No 114 du 25 octobre 1999 de Monsieur le Député Aly Jaerling

L'honorable député s'enquiert sur le degré d'utilisation de la relation ferroviaire entre Esch-sur-Alzette et Audun-le-Tiche et sur les possibilités d'une alternative routière à l'actuelle exploitation routière.

D'emblée je tiens à souligner une nouvelle fois que le Gouvernement entend promouvoir le transport public et améliorer l'offre actuelle. Dans ce contexte une attention particulière est réservée aux relations transfrontalières pour appréhender au mieux la masse croissante des navetteurs frontaliers venant travailler au Luxembourg et qui n'utilisent pas les transports en commun dans la même proportion que les habitants du Grand-Duché.

Il conviendra avant tout d'attirer ces navetteurs aux transports publics en des endroits qui se situent le plus près de leur domicile. Dans cet ordre d'idées la gare de Hettange-Grande sera désormais desservie par les trains régionaux, et les autorités françaises envisagent une prolongation de l'antenne Esch-sur-Alzette - Audun-le-Tiche en Lorraine. Il ne saura donc être question de remplacer ce service ferroviaire par une ligne d'autobus.

Pour ce qui est de la fréquentation des trains mis en service, les CFL me font savoir que le nombre de clients qui empruntent les trains circulant entre les gares d' Audun-le-Tiche et d'Esch-sur-Alzette est de 445 personnes par jour ouvrable. Ce nombre représente une moyenne calculée en fonction de comptages effectués pendant une semaine et dont le détail est repris au tableau reproduit ci-après.

Par ailleurs, la ligne en question n'étant desservie que pendant les heures de pointe, la fréquentation la plus forte est à noter entre 07.00 et 08.00 heures du matin dans le sens Audun-le-Tiche - Esch-sur-Alzette et le soir dès 17.00 heures dans le sens Esch-sur-Alzette - Audun-le-Tiche.

 

Quant au détailles clients se répartissent comme suit sur les différents trains:

1) Trains circulant entre Audun-le-Tiche et Esch-sur-Alzette / Luxembourg

Train No Départ Audun-le-Tiche Arrivée Esch-sur-Alzette ou Luxembourg Nombre de clients (moyenne hebdomadaire)
 6481  6.10  E: 6.15  6
 6482  6.32  L: 6.58  19
 6483  6.40  E: 6.45  21
 6484  7.10  E: 7.15  57
 6485  7.32  L: 7.58  74
 6486  8.00  L: 8.25  46
 6489  13.30  L: 13.57  4
 6492  17.40  E: 17.45  0
 6493  18.06  E: 18.11  1
 6495  18.24  E: 18.29  0
 6496  18.45  E: 18.50  0
 6497  19.10  E:19.15  1

Total: 229 clients

 

2) Trains circulant entre Esch-sur-Alzette / Luxembourg et Audun-le-Tiche

Train No Départ Esch-sur-Alzette ou Luxembourg Arrivée Audun-le-Tiche Nombre de clients (moyenne hebdomadaire)
 6455  L: 5.35  6.00  0
 6456  E: 6.19  6.24  0
 6457  E: 6.49  6.54  1
 6458  E: 7.19  7.24  0
 6459  E: 7.49  7.54  1
 6462  L: 12.09  12.36  5
 6467  L: 19.09  17.36  55
 6468  E: 17.58  18.03  51
 6469  E: 18.15  18.20  24
 6470  E: 18.33  18.38  35
 6471  E: 18.45  18.50  5 (seulement le samedi)
       
 6472  E: 18.58  19.03  33
 6369  E: 18.58  19.03  6 (seulement le samedi)

Total: 216 clients

Les CFL ont été invités à analyser la situation décrite en vue de me soumettre leurs propositions destinées à rendre le service plus attrayant et à attirer davantage de clients sur cette relation, tout en adoptant au mieux l'offre à la demande potentielle.

Bibliographie:
   Titel - Titre
Author - Auteur - Autor
Date
Edition - Verlag
Contents - Contenu - Inhalt
Pages- Seiten
ISBN

Gares et haltes des Chemins de Fer Luxembourgeois

Bahnhöfe und Haltepunkte der Luxemburger Eisenbahnen

   1984 Les Cheminots-Philatélistes 61 Luxembourg
  • Historique des chemins de fer luxembourgeois
  • La Gare de Luxembourg
  • Les premières gares (sélection)
  • Les bombardements en 1917 et 1944
  • Le réseau des CFL
  • Lignes à voie normale
  • Lignes à voie étroite
  • Liste alphabétique des noms des gares
 350  
Eisenbahnen in Luxemburg Federmeyer Ed 1984 Eisenbahn-Kurier
  • WL
  • PH
  • CFL
190-192 3-88255-400-2

Liens / Links:
Railway Lines in Luxembourg / Les lignes ferroviaires au Luxembourg / Eisenbahnlinien in Luxemburg
 

Any information or picture completing these pages is welcome! For more information just send us an e-mail.

Toute information ou photo pouvant compléter ces pages est la bienvenue! Pour des informations supplémentaires, veuillez nous envoyer simplement un e-mail.

Jede Information oder jedes Foto, welche(s) diese Seiten vervollständigen, ist herzlich willkommen! Für mehr Informationen, senden Sie uns einfach eine E-mail.

 

Created by / Créé par / Copyright: jmo