|
Ligne Luxembourg - Remich Strecke Luxemburg - Remich |
![]() |
| Line / Ligne / Strecke | Longueur / Länge (Km) | Date d'ouverture / Betriebseröffnung | Date de fermeture / Betriebsstillegung | |
| Luxembourg - Remich | S | 27,15 | 20.02.1882 | 22.05.1955 |

Luxembourg - gare (Photo: R.C. Riley)

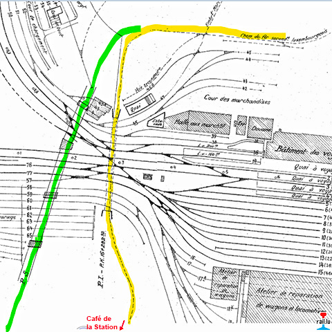
1928: lénks (gring): P.S. = passage supérieur = nei Betons - Bowstring - Bréck (ab 1929 a Betrieb) - riets (giel): P.I. = passage inférieur = "Knachenmillen"
No 1929 ass den Halt Bouneweg jo dann op eng anner Plaz komm, pk 1

De Café de la Station zu Bouneweg war deemols op 60 - 62 rue de Thionville. Dëst ass elo 90 - 92 Dernier Sol, an de fréiere Café de la Station misst elo den Restaurant Lisboa II sinn (Photo: 6.11.2024 jmo)

Halt Bonneweg - Fahrplang der Sonderzüge der " Jangeli" - Linie Luxemburg - Remich gelegentlich der Jahrhundertfeier der Landesunabhängigkeit vom 22.4.1939 (t: 19.4.1939)
| 5.1896 | Sport. Voilà les courses! En route pour les courses! Partout les affiches recouvrent les murs et les sportsmen s’apprêtent pour le grand jour. Au champ de course à Bonnevoie, à la piste de la Villa Louvigny règne une vive agitation. Il paraît que pour après demain dimanche, presque toutes les voitures ont été déjà retenues chez les loueurs et devant l’affluence considérable qui se portera, sans nul doute du côté de Bonnevoie, la direction des chemins de fer secondaires a décidé de faire circuler des trains tramways jusqu’à la Villa Berchem à côté de laquelle se trouve l’entrée de l’enceinte. Le prix en sera fixé à 12,5 cent, et le public ne manquera pas de profiter de ce commode et peu coûteux moyen de locomotion. Le grand-duc héréditaire assistera probablement aux courses de Bonnevoie où les prix seront chaudement disputés, à en juger par l’entraînement continuel auquel se livrent les éleveurs. Voici le prix des places à l’hippodrome : Enceinte réservée et tribunes, 2 fr. 50, Pelouse, 0,50 cent. Cavaliers, 5 frs, voitures à 1 cheval, 5 frs, voitures à 2 chevaux, 10 frs, voitures à 4 chevaux, 20 frs (LIL: 15.5.1896) |
| .1897 | Pferderennen. Auf der Rennbahn bei Bonneweg wird emsig gearbeitet, damit für nächsten Sonntag alles fertig ist. Unter der sachkundigen Leitung des Rittmeisters von Holy aus Hannover, der sich als Spezialist im Pferderennsport seit Jahren einen Namen gemacht hat, gehen die Arbeiten rasch ihrer Vollendung entgegen. Die Bahn ist gegen das vorige Jahr größer und namentlich zweckmäßiger angelegt. Sie befindet sich diesmal weiter südlich von der Villa Berchem, etwa 100 Meter abseits von der Straße und mit dieser durch zwei Wege verbunden. Die Plätze sind auf eisernen Trägern und Pfeilern mit massivem Holzwerk wie für die Ewigkeit gefügt; auf dem geräumigen Dache, dem absichtlich nur eine kaum merkliche Neigung gegeben wurde, können die Liebhaber luftiger Stehplätze es sich in grotzer Anzahl bequem machen. Südlich von der Tribüne kommt zunächst eine von der Firma Mercier & Cie. errichtete Champagnerhalle zu stehen, noch weiter hinauf der Sattelplatz mit Kabinen für die Reiter, an die sich eine Reihe von Boxen für die Pferde schließen wird. In der Mitte befinden sich die Stehplätze und die Plätze für die Wagen; für des Leibes Notdurft ist dort durch eine Trinkhalle gesorgt, in der Herz was begehrst du zum Ausschank kommen wird. Die eigentliche Rennbahn ist doppelt; auf der äußern, die eine Ausdehnung von etwa 1.100 Metern hat, werden die Rennpferde in den Flach- und Hürdenrennen laufen, die innere Bahn, etwa 900 Meter, ist für die Trab- und Wagenrennen reserviert. Was die Verkehrsmittel nach dem Sportplatze hinaus betrifft, so sei mitgeteilt, daß die Sekundärbahn am Sonntag Nachmittag beständig einen Zug von 8 Wagen zwischen dem Rennplatze und dem Bahnhofe verkehren lässt. Am Samstag Nachmittag findet für die Wagenpferde ein Vorlauf statt, nach dem die sechs besten ausgeschieden und allein für die Hauptrennen am folgenden Tage qualifiziert werden. (OMZ: 30.7.1897) |
| 1921 | Bau der Pferderennbahn, an der Hesperingerstrasse, direkt hinter der Villa Berchem. Die Umschließung mit einer 2 m hohen soliden Holzwand ist sauber und läßt durch eine Einbuchtung an dem Zugang von der Straße aus Raum genug, um jede Gefahr beim Passieren des Mondorfer Zuges zu umgehen Die Kassenzugänge und die Ausgänge der Tribüne und der Rasenplätze sind bequem. Am Eingang zu den Tribünen stehen 24 Boxes für die Rennpferde. Auf der Tribüne finden etwa 350 Personen Platz, während die Pelouse rund um die Rennbahn 9.600 Personen bequeme Plätze bletet. In der Mitte des Feldes steht ein Musikkiosk. Die Rennbahn selbst hat nicht die ovale Form, wie z.B. die Diekircher, sondern zwei gerade Längsseiten, die an den Enden halbkreisförmig verbunden sind. Eine Runde in der Mitte der Rennbahn misst 726 m. Von der Rennbahn aus hat man einen nicht üblen Ausblick auf den nördlichen Teil der Stadt. Für durstige Kehlen an denen es bei heisser Witterung nicht fehlen wird, sind 3 Ausschankstellen eingerichtet. Auch in anderer Beziehung ist für das große internationale Pferderennen vom nächsten Sonntag alles musterhaft vorbereitet, so daß man sich auf ein Sportsereignis ersten Ranges freuen kann. (LW: 31.5.1921 |
| 2,3,9.9.1934 |
Ligne de Luxembourg-Remich. - Chemins de fer à voie étroite. A l'occasion de la foire et de la braderie à Luxembourg, un train spécial sera mis en vigueur entre Luxembourg et Alzange, dimanche, le 2, lundi, le 3 et dimanche, le 9 sept. 1934, avec l’horaire suivant: |

ATELIERS
NIC. GEORGES, 194, route de Thionville à Luxembourg (Bonnevoie), à l'avant-plan
les rails de la ligne ferroviaire à voie étroite Luxembourg
- Remich (Photos: 3.1956 Pol Aschman; Copyright: Photothèque de
la Ville de Luxembourg)
![]() In der Nacht zum 2. September 1934 wurde der schwerhörige Steinbrucharbeiter Nik. Kirsch aus Hesperingen auf Howald vom Jangli tödlich angestossen. (AZ) Zum tödlichen Eisenbahnunfall auf Hohwald. Den Lokomotivführer trifft keine Schuld. Armselige Verkehrsverhältnisse für Fußgänger auf Hohwald. Mangelhafte Beleuchtung der "Jangli"-Lokomotiven. Wie sich dieses furchtbare Unglück zutrug, ist im Schoße der Nacht verborgen, und es dürfte weder dem Untersuchungsgericht noch den Experten gelingen, den genauen Hergang festzustellen. Kirsch, der seit einiger Zeit in den Steinbrüchen Kugener beschäftigt war, und in der dortigen Kantine wohnte, suchte am Sonntag vormittag seinen Schwager Mathias Rischard in Hesperingen auf. Nach dem Mittagessen entfernte sich Kirsch, um sich, wie er vorgab, erst zu einer Kegelpartie, dann auf die Schobermesse zu begeben. Er suchte verschiedene Gasthäuser auf und erreichte endlich mit einem Bekannten die Schobermesse, wo er sein Glück bei einer Bude versuchte und einen kleinen, ausgestopften Hund gewann. Nach einiger Zeit nahm sein Begleiter eine Taxe, um nach Hause zu fahren, und lud ihn zur Mitfahrt ein. Aber Kirsch schlug ab und zog es vor, den Heimweg zu Fuß zurückzulegen. Unter dem Arm trug er den kleinen, ausgestopften Hund … Kurz vor 10 Uhr sah ihn der Eisenbahner Louis Krecké aus Bonneweg, der sich mit seiner Gattin auf dem Heimweg befand, wie er sich an der Kreuzung Diedenhofenerstraße-Rennbahnstraße eine Zigarette anzündete und dann weiterging. Darnach sah ihn kein Mensch lebend wieder. Er radelte nach der Gendarmeriewache am Bahnhof und erstattete hier Bericht. Die sofort alarmierte Hauptwache in den Freiwilligen-Kasernen entsandte einige Gendarmen nach der Unglücksstelle, die dafür sorgten, daß die nachfolgenden Züge möglichst vorsichtig über die mit Fleischfetzen und Gliedmassen gekennzeichnete Stelle fuhren. Das Untersuchungsgericht traf gegen 11 Uhr ein. Der phototechnische Dienst und die Experten walteten ihres Amtes, sodaß gegen 11h30 ein Mann eine Schaufel nehmen konnte, und die Überreste eines Menschen buchstäblich in einen bereitstehenden Sarg schaufeln konnte. Fahrplangemäß verließ der Zug Luxemburg - Mondorf am Sonntag abend den Sekundär-Bahnhof im Bahnhofsviertel zu Luxemburg um 10.08 Uhr. Dieser Zug bestand aus der Lokomotive Nr. 15 (32 Tonnen) und drei Wagen. Um 10h30 (½ 11 Uhr) lief ein Zug Mondorf - Luxemburg mit Verspätung ein. und es bildet sich die Frage, welcher von beiden Zügen den Unglücklichen überfahren hatte. Man stellte an dem ersten Zuge fest, daß die Lokomotive Blutspritzer aufwies, und stieß unter einem Wagen auf ganze Körperteile des Toten. Ein Verhör der beiden Lokomotivführer ergab, daß weder sie noch die Heizer etwas von dem Unglück gemerkt hatten. |
|
| 22.10.1935 | Howald - Accident mortel. - Avant-hier soir le serrurier J.-P. Remacle, 30 ans, de Strassen a été accroché par le «Jangly" et violemment projeté sur la chaussée. Remacle est décédé à la suite d’une fracture du crâne. (Luxembourg - Journal du Matin: 24.10.1935) |
| 26.5.1937 | Luxemburg-Howald, 26. Mai. Tödlicher Eisenbahn-Unfall. Der Küster Mathias Altenhoven der Herz-Jesu-Kirche (Plateau Bourbon) der in der Eug. Welterstraße auf Howald wohnt, benutzt täglich den Zug der Mondorfer Linie von 12.15 Uhr, der nur bis Alzingen fährt, und der bei der Eug. Welterstraße hält. Gestern jedoch benutzte er den Autorail von 12.06 Uhr, der nicht bei Howald hält. Altenhoven gab andern Mitfahrenden seine Absicht bekannt, von dem fahrenden Zug abzuspringen. Obschon diese ihm abrieten wollte er dennoch seine Absicht ausführen. Bei der Welterstraße angelangt sprang er ab, sein Fuß jedoch blieb an dem Akkumulatoren-Behälter hängen. Er wurde aus dem Wagen geschleudert und fiel unter einen Wagen, wobei ihm Kopf und Brust eingedrückt wurden, was seinen sofortigen Tod herbeiführte. Altenhoven war 31 Jahre alt und ledig. Das Untersuchungsgericht weilte gestern an Ort und Stelle. (t: 26.5.1937) |

Eisenbahngleis des Jangeli, Howald (AZ: 2.9.1934)

Howald (AZ: 2.9.1934)

Howald - à la droite: coin 2 rue Eugène Welter et route de Thionville (AZ: 2.9.1934)

Eisenbahngleis des Jangeli, Howald (AZ: 2.9.1934)

Arrêt Hohwald
- 1939 (100 Joerfeier 1839 - 1939) (Collection: Roland Schumacher) (Photo: 26.11.2024 jmo)
Den Arrêt vum Jangeli um Houwald war do, wou d'Route de Thionville an d'Rue du Couvent sech treffen (den Eck nördlech dovunner - Richtung Stad).
Google maps

Halt Howald - Fahrplang der Sonderzüge der "Jangeli" - Linie Luxemburg - Remich gelegentlich der Jahrhundertfeier der Landesunabhängigkeit vom 22.4.1939 (t: 19.4.1939)
No engem arméierten Iwwerfall op de Café Berner um Howald (= 278 route de Thionville) : "... auch scheint es ihr (Witwe Berner-Gehlen) nicht unwahrscheinlich, daß die Täter eventuell gleich nach dem Überfall, den Jangeli von Luxemburg nach Alzingen kurz nach 6 Uhr auf Station Hohwald bestiegen haben." (t: 6.1.1934)

Locomotive à vapeur CFL 403 à
Hesperange, route de Thionville (De Jangeli
fiert den Houwald erop) (Photo: 12.11.1953; Théo Mey; Copyright:
Photothèque de la Ville de Luxembourg)

Wolfsmühle, Hesperingen - 1905 (Editeur: Nels Lux serie 4 No 16)

Halt Wolff-Mühle - Fahrplang der Sonderzüge der "Jangeli" - Linie Luxemburg - Remich gelegentlich der Jahrhundertfeier der Landesunabhängigkeit vom 22.4.1939 (t: 19.4.1939)

Hesperingen, um 1923 (Carte
postale: Editeur: Th Wirol)

Hesper: ganz lénks de Café-Restaurant Klein-Haas, wou dee Moment d’Billete verkaf gi sinn - a riets derniewent de Café Klein-Morheng an nach riets derniewent d’Épicerie Klein-Klein a ganz riets op där Säit, scho quasi d’Beetebuergerstroos erop, de Café-Restaurant Speyer. (Collection: Roland Schumacher - Geschichtsfrënn vun der Gemeng Hesper)
Café de la Station, Hesperange
<=1958, 1962: Klensch René, tél: 36289

Restaurant Le Jardin Gourmand, Hesperange = ancien Café de la Station, 432 route de Thionville (Photo: 26.11.2024 jmo)

Das Eisenbahnunglück in Hesperingen am 30.6.1917 (Collection:
Emile van der Vekene)

Café de la Station - Mme Aldo Becca - Rossi, 516 route de Thionville, Alzingen (Collection: Roland Schumacher)

Restaurant - Pizzeria Al Sole, Alzingen, 516 route de Thionville (Photo: 26.11.2024 jmo)
Raccordement dépôt de déblais VE au PK 9,570 de la ligne Luxembourg VE à Remich entre Weiler-la-Tour et Aspelt

Ancienne gare d'Aspelt vers 1911 (Détail d'une Carte
postale E.P. Kraemer Photographe Mondorf-les-Bains)

Environs de Mondorf, Altwies - La gare (Carte
postale: J.M. Bellwald, Echternach No 679; collection: Ed Federmeyer)

Souvenir de Mondorf les bains, Gare Mondorf village
(Carte postale: 1986 J.M. Bellwald, Echternach
87; collection: Ed Federmeyer)

Vue d'un coin de la gare de Mondorf-Village
(date de la poste 1910) (Carte postale:
09 14059; collection: Ed Federmeyer)

Embranchement de la Maison Simminger - Ley
à Mondorf (Collection:
Sylvie SIMMINGER)
(<=1893: Holz- und Kohlenhandung Simminger-Ley, Mondorf)
Embranchement Berchem Pierre, Mondorf (pk 16.076) (<=1946: Berchem Pierre, Mondorf; <=1948: Berchem P., Mondorf, tél: 25, charbons, carrières)

Mondorf-les-Bains - Station Mondorf Luxembourg - tram à vapeur devant Hôtel de la Gare, vers 1913 (Carte postale)

Mondorf-les-Bains - La Station du chemin de fer, avec
un train venant de Thionville
/ France (Carte postale)

Locomotive à vapeur CFL 341 à
Mondorf-les-Bains (Photo: 26.7.1953; Théo Mey;
èque de la Ville de Luxembourg)

Mondorf-les-Bains, Rue de Remich - Remicher
Strasse (Carte postale: N. Schumacher, Mondorf-les-Bains
No 262; collection: Ed Federmeyer)
Café Klein-Krier Pierre (Restaurant La Rameaudière), Ellange-Gare, 10 rue de la Gare, Téléphone Mondorf 14 (Collection: Jean Kail)

Ladequai + Güterhalle Ellange-Gare (abgerissen im Oktober 1985) (Photo: mai 1979 Jean
Dahlem)
Quai de chargement
- halle de marchandises - Café Klein-Krier, Ellange-Gare (PSS - 1928; collection: Jean-Paul Meyer)

Quai de chargement
- halle de marchandises - Café Klein-Krier, Ellange-Gare (PSS - 1928; collection: Jean-Paul Meyer)

EP de la Société Vinicole Luxembourgeoise SA - Ellange-Gare (PSS - 1928; collection: Jean-Paul Meyer)

Piste cyclable Jangeli à Scheuerberg (Photo:
17.7.2010 jmo)
Station - Café Scheuerberg (Photo:
17.7.2010 jmo)

"Jangeli" près d'Erpeldange (Photo: 15.9.1952; Théo
Mey; Copyright: Photothèque de la Ville de Luxembourg)

Autorail CFL Z5 en
Gare de Remich (Photo: G. Desbarax Bruxelles; collection: Fernand Keiser)
| Bibliographie | |||||||
| Titel - Titre |
|
|
|
|
|
|
|
![]() |
Jangeli Schmalspurbahn Luxemburg - Remich 1882 - 1955 |
Meyer Jean-Paul | 11.2014 | Editions Gérard Klopp | 260 | 2-911992-87-3 | |
|
Schmalspurbahnen in Luxemburg Band 1 | Federmeyer Ed | 1991 | GAR-Documentation |
|
417 | 3-921980-46-1 |
|
Schmalspurbahnen in Luxemburg Band 2 | Federmeyer Ed | 1991 | GAR-Documentation |
|
501 | 3-921980-46-1 |
|
Gares et haltes des Chemins de Fer Luxembourgeois Bahnhöfe und Haltepunkte der Luxemburger Eisenbahnen |
1984 | Les Cheminots-Philatélistes 61 Luxembourg |
|
350 | ||
|
Les Chemins de Fer à Voie Etroite Luxembourgeois Die Luxemburger Schmalspurbahnen |
3e volume AMFL | 80 | ||||
![]() |
Ierpeldéng, eischt Duef | u.a. Denise Schweitzer |
1984 | Buchdréckerei J. Schomer-Turpel, Réimech 25. Joer Dësch-Tennis Ierpeldéng |
u.a. Jhangli, Jhangli Buedebaach |
253 | |
|
Le "Jaengelchen" Chemin de fer à voie étroite de Thionville à Mondorf-les-Bains | Arsène Felten | 1981 | Information SNCF Région Metz 3e et 4e trimestre 1981 No47 |
|
6-17 | |
|
Les Chemins de Fer à Voie Etroite Luxembourgeois Luxemburgische Schmalspurbahnen |
Mayer Charles-Léon | 1980 | Catalogue ferphilex'80 | 24 | ||
|
Les Chemins de Fer à Voie Etroite au Grand-Duché de Luxembourg (partie 2) | Mayer Charles-Léon | 1976 | Chemins de Fer Régionaux et Urbains Nr 137 | |||
|
Les Chemins de Fer à Voie Etroite au Grand-Duché de Luxembourg (partie 1) | Mayer Charles-Léon | 1976 | Chemins de Fer Régionaux et Urbains Nr 136 | 51 | ||
| Liens / Links |
| The Railway Stations of Luxembourg - Les gares luxembourgeoises - Die Bahnhöfe Luxemburgs |
| Narrow Gauge Railways in Luxembourg / Les chemins de fer à voie étroite au Luxembourg / Schmalspurbahnen in Luxemburg |
|
Any information or picture completing these pages is welcome! For more information just send us an e-mail. Toute information ou photo pouvant compléter ces pages est la bienvenue! Pour des informations supplémentaires, veuillez nous envoyer simplement un e-mail. Jede Information oder jedes Foto, welche(s) diese Seiten vervollständigen, ist herzlich willkommen! Für mehr Informationen, senden Sie uns einfach eine E-mail. |
|
Created by / Créé par / Copyright: jmo |